• Başkan'ınÖz Geçmişi
  • Başkan'dan
  • Başkan'ınFotoğrafları
  • Başkan'ınVideoları
  • Başkan'aMesaj
  • Kapat
  • Mehmet Gürel

    1975 doğumlu olan Mehmet Gürel, ilk, orta ve lise öğrenimini Yalova’da tamamladı. İstanbul Teknik Üniversitesi Şehir ve Bölge Planlaması’ndan mezun olan Mehmet Gürel, İstanbul Ticaret Üniversitesi’nde İşletme Yüksek Lisansı’nı tamamladı.

    2009-2014 yılları arasında Yalova Ticaret ve Sanayi Odası’nda Meclis Başkanlığı görevini başarıyla yürüten Mehmet Gürel, siyasi kariyerine 2011-2013 yılları arasında Yerel Yönetimlerden Sorumlu Cumhuriyet Halk Partisi Yalova İl Başkan Yardımcısı olarak başladı.

    Sırasıyla; 2014 ve 2019 yerel seçimlerinde Cumhuriyet Halk Partisi’nden Yalova Belediye Başkan Aday Adayı oldu. 2014-2018 yılları arasında Cumhuriyet Halk Partisi’nde İstanbul Büyükşehir Belediye Meclis Üyesi olarak görev yaptı. 2018-2023 Milletvekili Genel Seçimlerinde Cumhuriyet Halk Partisi Milletvekili Adayı oldu. 2020-2023 yılları arasında ise Cumhuriyet Halk Partisi Yalova İl Başkanı olarak görev yaptı. Halen Cumhuriyet Halk Partisi’nde Kurultay Delegesi olarak görevine devam etmektedir.

    31 Mart 2024 yerel seçimlerinde, Yalova halkının iradesi neticesinde, %46,39’luk oy oranı ile Yalova Belediye Başkanı seçildi.

    Kentsel dönüşüm, proje geliştirme ve şehir planlama konularında mesleki çalışmalarını sürdüren Mehmet Gürel, evli ve bir kız çocuğu babasıdır. İyi derecede İngilizce bilmektedir.

  • Değerli Yalovalılar,

    Kıymetli büyüklerim ve kentimizin güzel çocukları…

    Ulu önderimiz Gazi Mustafa Kemal Atatürk’ün benim kentim olarak ifade ettiği, Marmara’nın kalbi olan bu güzel kente hizmet etmek için çıktığımız yolculuğumuza sizlerle birlikte devam ediyoruz.  

    Geride kalan görev süremiz boyunca kentimizin, vatandaşlarımızın ihtiyaçları doğrultusunda öncelikli çalışmalarımızı Yalova ile buluşturduk.

    Önümüzdeki günlerde de yine sizlerin desteğiyle çalışmalarımızı hızlandıracak ve daha güzel, daha yaşanılabilir bir Yalova’yı sizlere kazandıracağız.

  • Başkan'a Mesajınızı İletin




HIZLI MENÜ
  • HABERLER
  • DUYURULAR
  • VEFAT EDENLER
  • İHALELER
  • BASINDA BİZ
  • ORGANİZASYON ŞEMASI
  • NÖBETÇİ ECZANELER
MENU
  • Başkan
    • Başkan'ın Özgeçmişi
    • Başkan'dan
    • Başkan'ın Fotoğrafları
    • Başkan'ın Videoları
    • Başkan'a Mesaj
  • KURUMSAL
    • Organizasyon Şeması
    • Meclis Üyeleri
    • Başkan Yardımcıları
    • Müdürlükler
    • Eski Başkanlar
    • Mahalle Muhtarlıkları
    • Vizyon ve Misyonumuz
    • Kurumsal Kimlik
    • Kişisel Bilgilerin Korunması
    • İmar Planı ve Hükümleri
    • Stratejik Plan
    • Yönetmelikler
    • Performans Programı
    • Performans Programı Raporları
    • Üye Olduğumuz Birlikler
    • Etik Rehberi(Yerel Yönetimler)
    • İç Kontrol Eylem Planı
    • Risk Strateji Belgesi
    • KVKK Verilerin Korunması ve İşlenmesi Politikası
    • Yalova Belediyesi Hizmet Standartları
    • Kurumsal Mali Durum ve Beklentiler Raporu
    • İklim Değişikliği Eylem Planı
  • YALOVA
    • Yalova Hakkında
    • Milletvekillerimiz
    • Kardeş Şehirlerimiz
    • Nöbetçi Eczaneler
    • Yalova Rehberi
    • Sanal Tur
  • GÜNCEL
    • Vefat Edenler
    • Haberler
    • Duyurular
    • Yayınlar
    • Galeri
    • Etkinlikler
    • Meclis Kararları
    • Faaliyet Raporları
    • İhaleler
    • İmar Planı Değişiklikleri
    • Kamu Spotu
    • Benim de Projem Var
    • Gönüllü Belediyecilik
    • Bu Şehir İçin Hayal Kur
    • İmar Uygulamaları
  • PROJELER
    • Tamamlanan Projeler
    • Devam Eden Projeler
MENU
  • HİZMETLER
    • İçme Suyu Sonuçları
    • Ruhsat Süreci 2021
    • Kaplıcalar
    • Halk Otobüsü Saatleri
    • Nikah İşlemleri İçin Gerekli Evraklar
    • Gerekli Bilgiler
    • Hastaneye Ücretsiz Ulaşım
    • Yalova Hava Kalitesi
  • KENT SİSTEMİ
    • Kent Rehberi
    • Dijital İmar Uygulaması
  • E-BELEDİYE
    • E-Belediye Giriş
    • Sicil Sorgulama
    • Borç Ödeme
    • Rayiç Değer Bilgileri
    • Beyanlar
    • Evrak Doğrulama
    • Bilgi Edinme Başvurusu
    • Vergi Takvimi
  • İLETİŞİM
    • Bize Ulaşın
    • Bilgi Edinme
    • İstek ve Öneri
    • Sıkça Sorulan Sorular
    • Yararlı Linkler
    • Müdürlük Adreslerimiz
Ana Sayfa
  • BAŞKAN
    • Başkan'ın Özgeçmişi
    • Başkan'dan
    • Başkan'ın Fotoğrafları
    • Başkan'ın Videoları
    • Başkan'a Mesaj
  • KURUMSAL
    • Organizasyon Şeması
    • Meclis Üyeleri
    • Başkan Yardımcıları
    • Müdürlükler
    • Eski Başkanlar
    • Mahalle Muhtarlıkları
    • Vizyon ve Misyonumuz
    • Kurumsal Kimlik
    • Kişisel Bilgilerin Korunması
    • İmar Planı ve Hükümleri
    • Stratejik Plan
    • Yönetmelikler
    • Performans Programı
    • Performans Programı Raporları
    • Üye Olduğumuz Birlikler
    • Etik Rehberi(Yerel Yönetimler)
    • İç Kontrol Eylem Planı
    • Risk Strateji Belgesi
    • KVKK Verilerin Korunması ve İşlenmesi Politikası
    • Yalova Belediyesi Hizmet Standartları
    • Kurumsal Mali Durum ve Beklentiler Raporu
    • İklim Değişikliği Eylem Planı
  • YALOVA
    • Yalova Hakkında
    • Milletvekillerimiz
    • Kardeş Şehirlerimiz
    • Nöbetçi Eczaneler
    • Yalova Rehberi
    • Sanal Tur
  • GÜNCEL
    • Vefat Edenler
    • Haberler
    • Duyurular
    • Yayınlar
    • Galeri
    • Etkinlikler
    • Meclis Kararları
    • Faaliyet Raporları
    • İhaleler
    • İmar Planı Değişiklikleri
    • Kamu Spotu
    • Benim de Projem Var
    • Gönüllü Belediyecilik
    • Bu Şehir İçin Hayal Kur
    • İmar Uygulamaları
  • PROJELER
    • Tamamlanan Projeler
    • Devam Eden Projeler
  • HİZMETLER
    • İçme Suyu Sonuçları
    • Ruhsat Süreci 2021
    • Kaplıcalar
    • Halk Otobüsü Saatleri
    • Nikah İşlemleri İçin Gerekli Evraklar
    • Gerekli Bilgiler
    • Hastaneye Ücretsiz Ulaşım
    • Yalova Hava Kalitesi
  • KENT SİSTEMİ
    • Kent Rehberi
    • Dijital İmar Uygulaması
  • E-BELEDİYE
    • E-Belediye Giriş
    • Sicil Sorgulama
    • Borç Ödeme
    • Rayiç Değer Bilgileri
    • Beyanlar
    • Evrak Doğrulama
    • Bilgi Edinme Başvurusu
    • Vergi Takvimi
  • İLETİŞİM
    • Bize Ulaşın
    • Bilgi Edinme
    • İstek ve Öneri
    • Sıkça Sorulan Sorular
    • Yararlı Linkler
    • Müdürlük Adreslerimiz
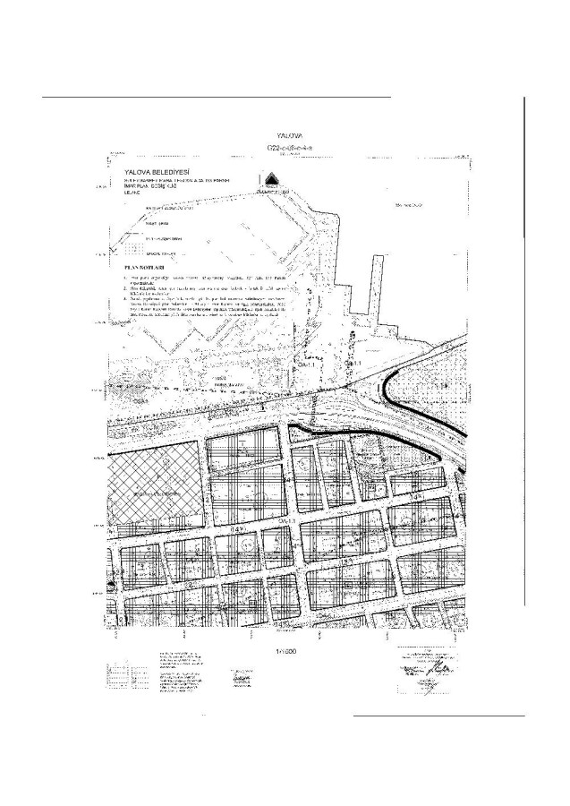
Süleymanbey Mahallesi 324 ada 153 parselde plan değişikliği
  • Anasayfa /
  • İmar Planları /
  • Süleymanbey Mahallesi 324 ada 153 parselde plan değişikliği /
HIZLI MENÜ
  • Organizasyon Şeması
  • Meclis Üyeleri
  • Başkan Yardımcıları
  • Müdürlükler
  • Eski Başkanlar
  • Mahalle Muhtarlıkları
  • Haberler
  • Duyurular
  • Galeri
  • Meclis Kararları
  • Faaliyet Raporları
  • İhaleler
  • Gerekli Bilgiler
  • Etik Rehberi(Yerel Yönetimler)
  • İç Kontrol Eylem Planı
  • Risk Strateji Belgesi
  • Sanal Tur
  • Yalova Belediyesi Hizmet Standartları
  • Kurumsal Mali Durum ve Beklentiler Raporu
  • İklim Değişikliği Eylem Planı
  • Gönüllü Belediyecilik
  • Bu Şehir İçin Hayal Kur
  • Müdürlük Adreslerimiz
  • Hastaneye Ücretsiz Ulaşım
  • Yalova Hava Kalitesi
  • İmar Uygulamaları
  • Kent Rehberi
  • Dijital İmar Uygulaması
Süleymanbey Mahallesi 324 ada 153 parselde plan değişikliği

karar-no--243--01.09.2021-i̇mar-plan-değişikliği-i̇lkokul-alanı.doc.pdf
i̇lan-tutanağı.pdf
askı-tutanağı.pdf
KURUMSAL
  • Organizasyon Şeması
  • Meclis Üyeleri
  • Başkan Yardımcıları
  • Müdürlükler
  • Mahalle Muhtarlıkları
  • Kişisel Bilgilerin Korunması
  • Yönetmelikler
  • Etik Rehberi(Yerel Yönetimler)
  • İç Kontrol Eylem Planı
  • Risk Strateji Belgesi
  • KVKK Verilerin Korunması ve İşlenmesi Politikası
  • Yalova Belediyesi Hizmet Standartları
  • Kurumsal Mali Durum ve Beklentiler Raporu
  • İklim Değişikliği Eylem Planı
YALOVA
  • Yalova Hakkında
  • Milletvekillerimiz
  • Kardeş Şehirlerimiz
  • Nöbetçi Eczaneler
  • Yalova Rehberi
  • Sanal Tur
GÜNCEL
  • Vefat Edenler
  • Haberler
  • Duyurular
  • Yayınlar
  • Galeri
  • Etkinlikler
  • Meclis Kararları
  • Faaliyet Raporları
  • İhaleler
  • İmar Planı Değişiklikleri
  • Benim de Projem Var
  • Gönüllü Belediyecilik
  • Bu Şehir İçin Hayal Kur
  • İmar Uygulamaları
PROJELER
  • Tamamlanan Projeler
  • Devam Eden Projeler
İLETİŞİM
  • Bize Ulaşın
  • Bilgi Edinme
  • İstek ve Öneri
  • Sıkça Sorulan Sorular
  • Yararlı Linkler
  • Müdürlük Adreslerimiz
HİZMETLER
  • İçme Suyu Sonuçları
  • Ruhsat Süreci 2021
  • Kaplıcalar
  • Halk Otobüsü Saatleri
  • Nikah İşlemleri İçin Gerekli Evraklar
  • Gerekli Bilgiler
  • Hastaneye Ücretsiz Ulaşım
  • Yalova Hava Kalitesi
  • İletişim Merkezi
    444 8 777
  • Whatsapp Hattımız
    0552 505 77 77
E-Mail: info@yalova.bel.tr Belediye Adresi: Süleymanbey Mahallesi Cumhuriyet Caddesi Karizma İş Merkezi No:3 Kat:4 PK: 77100 YALOVA Fax: 0 226 814 14 62